N/a Lakeshore Road Wainfleet, Ontario L0S 1V0

Waterfront On Lake

$374,900

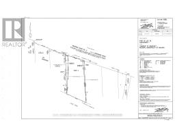
Discover the perfect canvas for your dream home with this stunning waterfront building lot in desirable Wainfleet, Ontario. Boasting an impressive 78 feet of water frontage, this rare offering features expansive, unobstructed views of Lake Erie and a stone break wall for lasting shoreline protection. Located directly across from the Long Beach Country Club, you'll enjoy both serene lakeside living and convenient access to golf, dining, and recreation.Whether you envision a seasonal retreat or year-round residence, this generous lot provides endless possibilities. Waterfront lots in this sought-after area are a rare find don't miss your chance to build in one of Niagara's most coveted locations! (id:34139)

Property Details

MLS® Number X12205896
Property Type Vacant Land
Community Name 880 - Lakeshore
Easement None
View Type Lake View, Direct Water View
Water Front Type Waterfront On Lake

Building

Parking

No Garage

Land

Access Type Year-round Access
Acreage No
Size Frontage 18.4 M
Size Irregular 18.4 M ; Depth And Frontages Are Irregular
Size Total Text 18.4 M ; Depth And Frontages Are Irregular|under 1/2 Acre
Zoning Description Residential Lakeshore

Utilities

Cable Available
Electricity Available

https://www.realtor.ca/real-estate/29585365/na-lakeshore-road-wainfleet-lakeshore-880-lakeshore

Contact Us

Contact us for more information

Generating Captcha

RE/MAX Garden City Realty Brokerage
145 Carlton Street, 2nd Floor, St. Catharines

Follow Denise:

DISCLAIMER

The trademarks REALTOR®, REALTORS® and the REALTOR® logo are controlled by The Canadian Real Estate Association (CREA) and identify real estate professionals who are members of CREA. Used under license. The trademarks MLS®, Multiple Listing Service®, and the associated logos are owned by The Canadian Real Estate Association (CREA) and identify the quality of services provided by real estate professionals who are members of CREA. Used under license.

© 2024 Denise Kennedy, Sales Representative with RE/MAX Garden City Realty Brokerage